3月10日下午 , 从风云四号高清可见光卫星云图上看 , 今天亚非澳地区的天气舞台其实还是有着非常多的天气系统 , 使得不同地区的天气出现不同的变化 。
文章插图
比如北半球 , 菲律宾以东的热带云团大量涌动 , 这是台风胚胎92W正在活动的特征 , 但在发展了几天后 , 这个台风胚胎目前发展得非常松散 , 发展成为新台风的可能性仍然很低 。 与此同时 , 我国上空的降水云系范围也特别广阔 , 与海洋上的台风胚胎遥相呼应 。
文章插图
【台风|风王提前来了?印度洋风暴哈巴那17级以上,网友:气候不正常?】而在南半球 , 炎热的澳大利亚大陆上对流云团大量爆发 , 同时南印度洋上风暴哈巴那(Habana)正在迅速发展 , 它发展成一个小小的风暴 , 从卫星云图上看它的大小还不如马达加斯加岛一半大小 。
文章插图
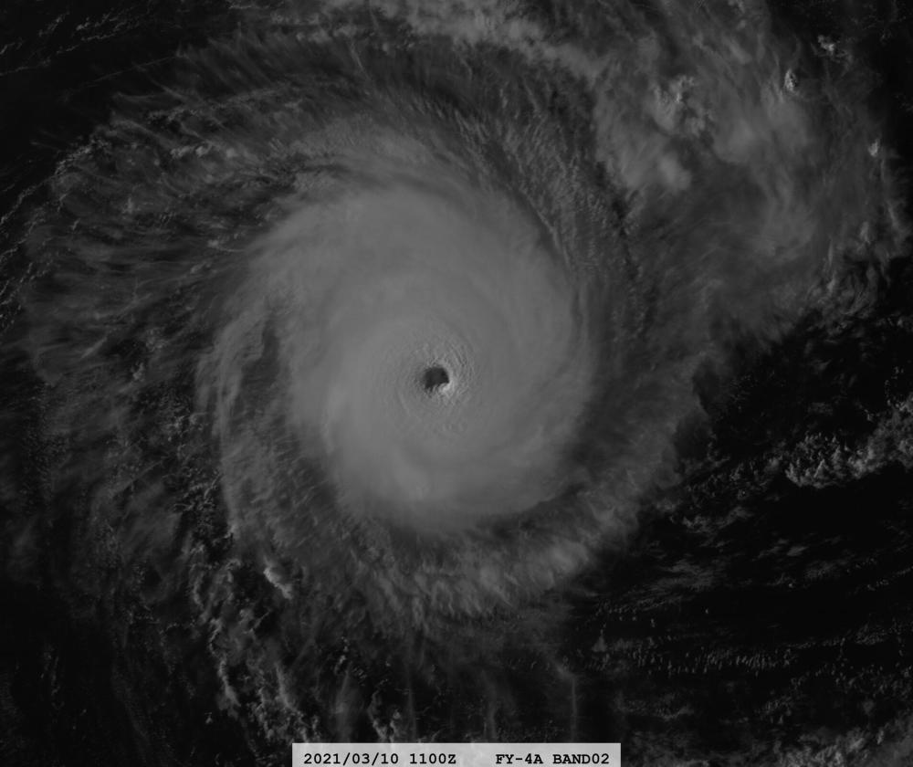
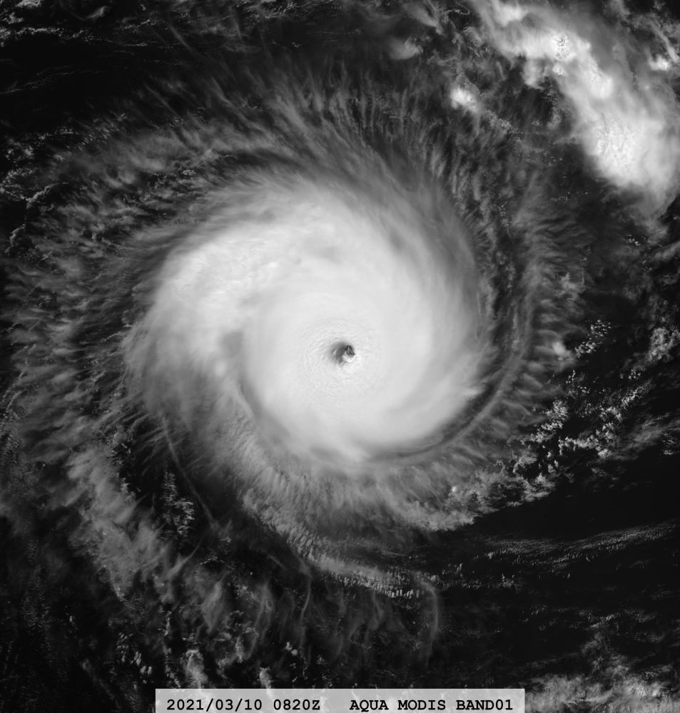
不过 , 这个小风暴却展现出了它强盛的爆发力——3月10日下午 , 位于南印度洋上的风暴迅速发展 , 到傍晚前后 , 它已经发展出了深邃而浑圆的凤眼 , 核心云区紧密而平滑 , 周围的雨带均匀的散开 , 种种特征都说明 , 这个风暴具有相当强大的实力 。 虽然发展于南印度洋 , 又是顺时针旋转的风暴 , 但它和我们熟知的台风其实是同一种天气系统 , 只不过发展在南半球 , 受到地转偏向力影响所以发展成了顺时针的风暴 , 又是发生在南印度洋的风暴 , 所以名字和西太平洋也不一样 。
文章插图
但它们都是同样能带来狂风暴雨的热带气旋系统 , 美国联合台风预警中心指出 , 这个风暴猛烈发展后 , 其中心最大风速已经达到了130海里/小时 , 相当于67米/秒、17级以上的强大风力 , 已经和西太平洋强大的超强台风相当 。
文章插图
这么强大的风暴还不是今年以来的风王 , 在风暴哈巴那之前 , 南太平洋的风暴尼兰、南印度洋的风暴法拉吉比哈巴那更加凶猛 , 即便如此 , 风暴法拉吉发生在2月 , 风暴哈巴那也可能成为今年3月南印度洋的最强风暴 。 当然 , 风暴哈巴那发生在南印度洋中部 , 这里岛屿稀少 , 人口更是稀疏 , 距离其最近的大城市毛里求斯路易港(Port Louis)都位于其西边2000公里以外 , 因此风暴哈巴那的猛烈发展带来的影响很小 。 那有的网友或许要问了 , 南半球连续持续超强风暴 , 是不是气候不正常?实际上现在南半球处于夏秋之交 , 无论是南印度洋还是南太平洋 , 现在其实都是热带气旋的高发期 , 出现几个强烈的风暴也并非不可能 , 只不过往年大家对这些洋区的关注度比较低 , 从目前来看 , 未来不排除还会有新风暴生成 。
文章插图
推荐阅读
- 浪胃仙|泡泡龙的离世给所有吃播提了醒,浪胃仙顺势决定“转行”,新职业认真的吗?
- 显微镜|假如人类可以把显微镜提升到40亿倍,是不是全新的宇宙观?
- 吸烟|戒烟的最佳年龄已公布,提醒:若在正确的年龄戒烟,或可延年益寿
- 水产养殖|生态水产养殖如何提高鱼病的预防工作?大疆渔业这样建议
- 多给孩子吃的家常菜,营养又补钙,提高免疫力,身体强壮少生病
- 长寿|晚餐和长寿挂钩?医生提醒:晚餐牢记“3多3不”,身体会感激你
- 尿毒症|尿毒症越来越多,医生提醒:少吃3种食物,肾病不敢找你麻烦
- 红蜘蛛|防治红蜘蛛与蚜虫,阿维菌素与哪种农药复配,可以提高防治的效果
- 急性卡他性结膜炎|【健康提醒】阳春三月惠州万紫千红,赏花同时也要注意这5种眼病!
- 肝脏|医生提醒:晨起出现这4种异常,或是肝病“登门”,别不当回事儿
