台风|广东防台风防了个寂寞?分析:不能放松警惕,台风季还未结束
9月即将结束 , 在这个9月里西太平洋的台风活动仍然十分频繁 , 但和往年不同的是 , 今年这个9月 , 好几个台风都朝着东北走——在8月底袭击我国的台风巴威过后 , 9月上旬台风美莎克和台风海神连续袭击我国东北 , 而后台风红霞在南海上登陆越南 , 而后是台风白海豚和台风鲸鱼则选择北上路径 , 奔向北太平洋 。 这么来看的话 , 今年9月影响我国华南广东等省的台风只有红霞 , 而且还只是外围环流影响 。
本文图片
因此 , 也有华南网友吐槽“今年广东防台防了个寂寞?”的确 , 对比起往年9月 , 今年9月华南沿海的台风活动显得特别的沉寂 , 但之前8月有比较强的台风海高斯登陆广东沿海 , 今年防台也不算防了个寂寞 。
本文图片
那为什么一些广东人会有这种感觉呢?一方面 , 台风海高斯是个比较小环流的台风 , 虽然它在登陆地附近带来了比较大的影响 , 但影响仅仅局限在几百公里内的区域 , 而且它登陆后就快速减弱 。 另一方面 , 除了海高斯 , 今年登陆广东的台风还剩下2号鹦鹉 , 这就是个特别弱的台风 , 登陆前已经减弱得不像样 , 其他时候基本上都是外围环流影响 , 所以一些广东人觉得防台防了个寂寞也正常 。
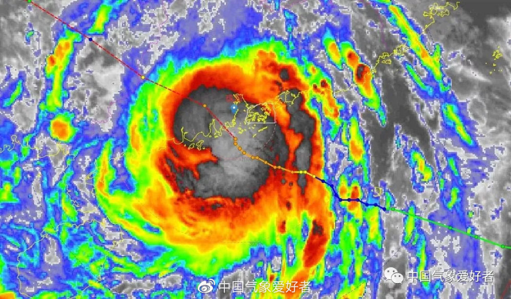
本文图片
6月14日上午登陆我国广东的台风鹦鹉
那也有网友要问了:马上到10月了 , 广东是不是不用防台了?这倒是未必 , 这是因为虽然10月到了 , 中纬度开始冷下来 , 但实际上低纬度洋面的海水温度仍然是很高的 , 低纬度洋面的台风季尚未结束 , 对于广东而言 , 10月-11月仍然可以有台风登陆 , 比如2016年 , 22号台风海马于10月21日登陆广东中部沿海 , 登陆时仍然为强台风级别 , 所以接下来还是不能掉以轻心 。
【台风|广东防台风防了个寂寞?分析:不能放松警惕,台风季还未结束】
本文图片
推荐阅读
- 新冠疫苗|新冠疫苗保护效力并非百分百,接种后仍需注意个人防护
- 水产养殖|生态水产养殖如何提高鱼病的预防工作?大疆渔业这样建议
- 桃树|桃树蚜虫在这两个关键期防治,能管一季不再发生
- 听力障碍|预防耳聋从身边小事做起
- 北京疾控|北京疾控:甲状腺疾病患者新冠疫苗预防接种注意这些事
- 红蜘蛛|防治红蜘蛛与蚜虫,阿维菌素与哪种农药复配,可以提高防治的效果
- 新冠疫苗|长沙已接种新冠疫苗36万余剂次,暂无严重预防接种异常反应报告
- 痔疮|得了痔疮不好意思去看医生,苦不堪言,预防痔疮小妙招快悄悄收藏
- 沙尘|警惕,秦岭防线可能失守!超级计算机:沙尘或携泥雨入侵四川盆地
- 戊肝病毒|爱吃烧烤的注意了!在外就餐,这种病毒防不胜防
