买排骨时,挑“前排”还是“后排”?牢记4不买,谁也不敢忽悠你
排骨是老百姓餐桌上常见的肉类之一,它肉质细腻,无论红烧、糖醋、清蒸、煲汤,都各有各的风味。排骨富含蛋白质、磷酸钙、骨胶原和维生素,尤其适合给家里的孩子吃,可以很好地补充钙质、促进身体发育。

文章插图
很多人买排骨时,专挑大块、厚实的买,或者让肉贩子直接随便拿一块。结果买回来的排骨要么肉少、骨头多,要么香味不足、口感特别差。
正如猪蹄有“前蹄”和“后蹄”之分,买排骨时,挑“前排”还是“后排”?牢记4不买,谁也不敢忽悠你。

文章插图
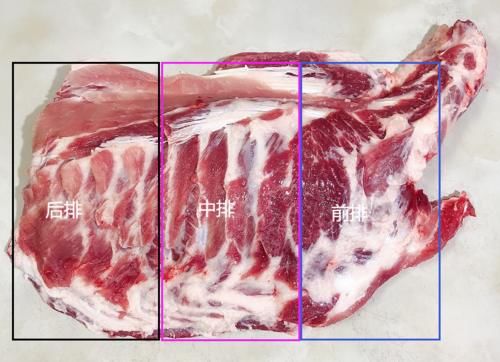
前排和后排的区别
猪前排
猪前排的肉质紧实、鲜美细嫩、口感非常好,适合红烧、清蒸、糖醋、爆炒等烹饪方式。此外,猪前排脆骨较多,它是猪身上最有营养的骨头,非常适合需要补钙的老人和儿童。

文章插图
猪后排
猪后排的骨头分布均匀、瘦肉多、肥肉少、口感发柴,不适合大多数烹饪方式。后排含有丰富的骨髓,最适合搭配土豆、白萝卜炖汤,可以最大限度发挥它的味道和营养。

文章插图
如何区分前排和后排?
一、看形状
猪前排的肉少、脆骨多,分为软边前排和硬边前排,软边前排连接着一块软骨,硬边前排在软骨基础上又多了一块硬骨。而猪后排排骨较长,肉质厚实且分布均匀,呈现条状。

文章插图
二、看颜色
猪前排的颜色更加红润细腻,瘦肉和肥肉融为一体。而后排颜色较浅、肥肉较多,靠近骨头有一层厚厚的脂肪。

文章插图
这四种排骨不要买
一、不买颜色深红、发暗的
新鲜的排骨看起来是鲜红色,如果看到排骨颜色呈深红或者暗红,说明放置时间过长,已经不新鲜了,再便宜也不要购买。

文章插图
二、不买粘手、冰冷且潮湿的排骨
买排骨时,用手轻轻触摸表面。如果摸起来比较粘手,说明表面有大量细菌繁殖,是不新鲜的排骨。如果排骨触感冰冷且潮湿,说明它是冻排骨,可能已经放了很长时间,不仅肉质又老又柴,香味也很淡,不建议购买。

文章插图
三、不买有异味、臭味的排骨
新鲜的排骨,闻起来有一股淡淡的血腥味。如果排骨闻起来有股臭味、异味,千万不要购买,这样的排骨不但不新鲜,很可能已经腐烂变质,吃了对身体有害。

文章插图
四、不买肉质松散的排骨
用手轻轻按压排骨表面,新鲜的排骨肉质紧实、富有弹性,按压下去能迅速恢复原状。如果排骨在按压后,呈现瘫软状态,说明它的肉质松散,新鲜程度大打折扣。

文章插图
炖排骨三不放:
炖排骨和炖羊肉一样,都是在做减法,这三种调味料千万不要放。
【 买排骨时,挑“前排”还是“后排”?牢记4不买,谁也不敢忽悠你】1、不放花椒,炖排骨放花椒,不仅会掩盖排骨本身的香味,肉质也会发紧。
2、不放山楂,炖排骨放山楂,会使排骨的酸味增加。
3、不放料酒,焯水的时候可以用料酒去腥,但煮排骨的时候加入料酒,会让味道变得很奇怪。

文章插图
我是梅姐美食记,每天都会分享各种烹饪技巧、饮食小常识以及美食趣闻。如果您也热爱美食,欢迎点赞、收藏、转发,并持续关注我。您的支持就是我前进的最大动力,我们明天见,拜拜。
推荐阅读
- 夜光杯 春馔
- 别再买坚果零食吃了,自己在家就能做,酥脆香甜,没有一点苦涩味!
- 盐酥烧饼这做法,皮酥里软吃着香,不醒面照样层层酥脆,省时间
- 美食推荐:番茄鸡,糖醋排骨,青椒酿肉,皮蛋腰花的做法
- 美食推荐:香辣炒包菜,红烧排骨,凉拌藕片,梅干菜烧肉的做法
- 猪身上一个部位,无筋无骨不塞牙,比排骨受欢迎,上桌立马被抢光
- 萝卜做饺子馅时,到底要不要焯水?很多人都不清楚,吃完告诉家人
- 农民|春分时节小麦田间管理,做好这些工作,高产又优质
- 医生|65岁老汉突然昏迷,三小时后离世,医生遗憾:这玩物害了不少老年人
- 精选几道好吃的宴菜,五香排骨,麻辣烫,在家请客吃饭非常有面子
