密云区|假期别样休闲方式,时令采摘体验密云农家生活
金秋十月 , 瓜果飘香 。 密云区时令水果陆续成熟进入采摘期 。 国庆长假期间 , 各地游客慕名而来 , 体验乡间采摘 , 享受丰收的喜悦 。
文章插图
又到一年丰收季 , 走进太师屯镇流河沟村嘎嘣脆枣种植园 , 已是红枣飘香 , 硕果累累 。
文章插图
一颗颗黄中带红的枣子挂满枝头 , 枣园里 , 慕名前来采果的市民穿梭在枣树之间 , 挑选成熟的大枣 , 享受难得的惬意时光 。
文章插图
市民告诉采访人员:“太师屯这边的大枣特别出名 , 每年假期都会带家人来这边采摘 , 边摘边吃 , 还能亲近大自然 , 感觉挺不错的 。 ”
文章插图
文章插图
北京市嘎嘣脆脆枣专业合作社理事蔡青森介绍说:“今年我们村整体种植枣的面积约3000亩左右 , 每年的产量在15万斤左右 , 今年受风灾和寒灾的影响产量也和去年差不多 , 采摘期从9月23号左右可以延续到十月的七八号左右 。 ”
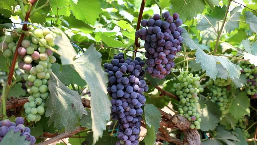
【密云区|假期别样休闲方式,时令采摘体验密云农家生活】颗颗饱满的大枣红满枝头 , 而在距太师屯镇四十分钟车程的密云葡萄核心产区巨各庄镇天葡庄园 , 夏黑、金手指、阳光玫瑰等20余个名优葡萄品种 , 也进入盛果期 , 采摘时间可持续到10月下旬 。 长势茂盛的藤枝间满是一串串熟透发紫的葡萄 , 一派丰收的喜人景色 。
文章插图
据天葡庄园经理邹理介绍 , 十一期间成熟的葡萄品种有比较火的阳光玫瑰、特别好吃的华思维 , 香果味十足也很爽滑 , 另外还有像a17 , 白龙莎、红宝石品种还是比较多的 , 这个时候的葡萄是非常甜的 , 游客除了采摘也可以去地下酒窖品酒、参观酒窖 。
文章插图
十一假期期间 , 不仅能采摘到大枣、葡萄等时令水果 , 穆家峪镇的红香酥梨、不老屯镇的黄土坎鸭梨、新城子镇富士苹果等密云特色鲜果也陆续进入采摘期 。 随着游客量的逐渐回升 , 密云区也积极整合区域内生态环境资源和特色农业产业园区 , 推出精品生态采摘旅游路线 , 各采摘园、种植合作社已接受采摘预约 , 让游客在休闲采摘中感受密云的自然之美 。
文:梁斯钰
摄:蒋卓洋
编辑:于莲梅
来源 北京日报客户端北京号
作者:北京密云官方发布
流程编辑 刘伟利
推荐阅读
- 潮汕美食别错过, 捉紧假期赶紧跟伴侣去
- 假期妈妈也放假,全家出去吃西餐,131元点了9种食物,比自助划算
- 假期甜品不能少,牛奶和草莓做一盘,上桌就被抢着吃
- 五一|今年五一假期能旅游吗?张文宏医生:能
- 假期太长了,油腻难消,分享八道蒸菜做法,少油烟还健康
- 传染病|孩子返校,警惕这6种春季传染病!
- 减肥|一顿胡吃海塞,24岁小伙被进手术室!假期过后,这种情况越来越多
- 春节假期,?精选37个热菜,好吃好做又实惠,在家做比去饭店强
- 假期在家,做孩子爱吃的小吃,香软可口,味道好极了,大赞
- 大卫·爱登堡|假期时光,我把孩子放心交给了这个94岁的“豆瓣最高分男神”
